Ngày 22/9, Bộ Giáo dục và Đào tạo (GD-ĐT) ban hành công điện gửi giám đốc sở GD-ĐT các tỉnh, thành phố từ Lâm Đồng trở ra về việc chủ động ứng phó bão số 9.
Nội dung công điện nêu: Theo Trung tâm Dự báo khí tượng thủy văn quốc gia, dự báo bão số 9 di chuyển theo hướng Tây Tây Bắc, mỗi giờ đi được khoảng 15-20km.
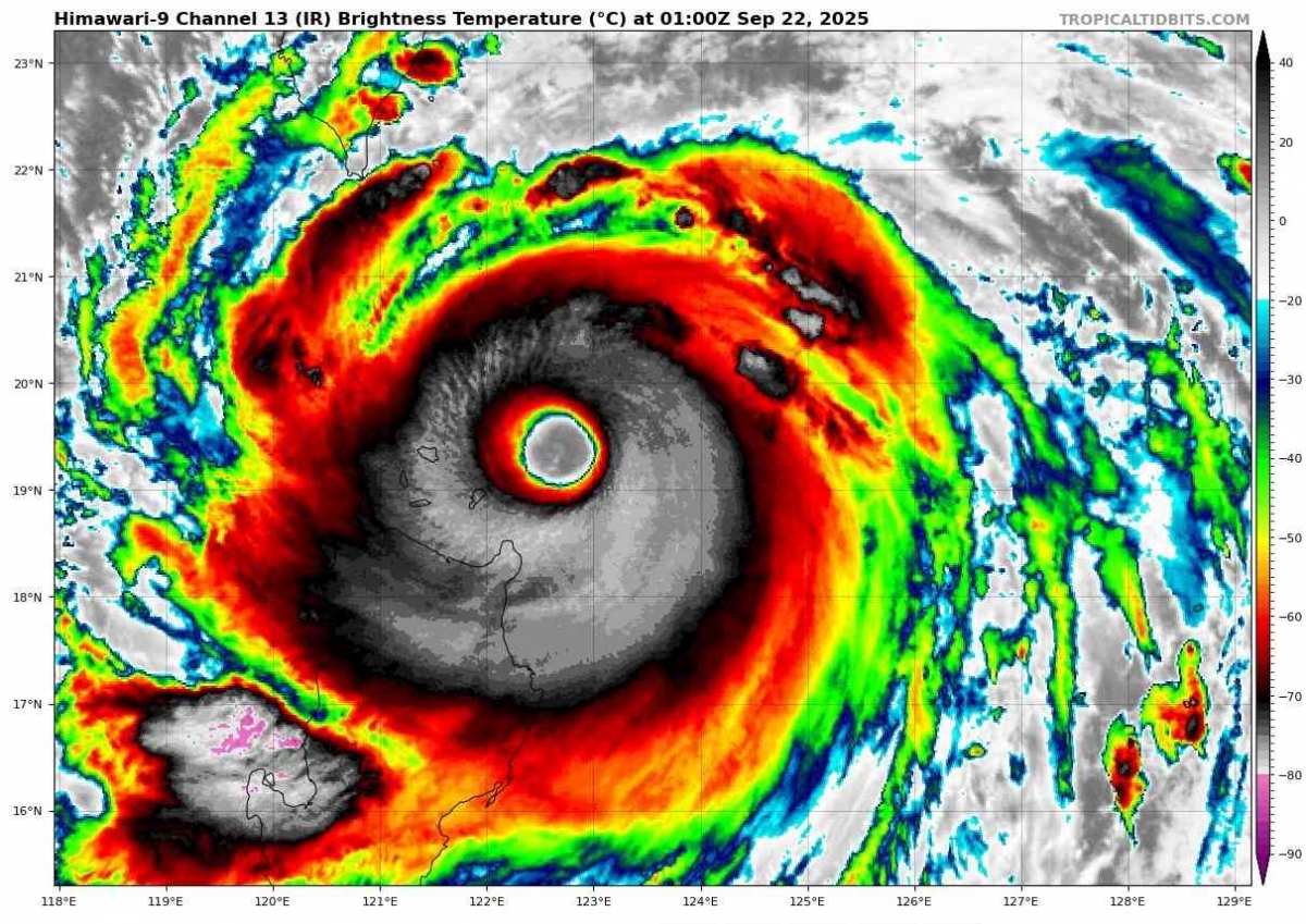
Trong 24 giờ tới, tiếp tục di chuyển theo hướng Tây Tây Bắc và có khả năng mạnh thêm, đến 13h ngày 22-9 cách đảo LuDông (Philippines) khoảng 120km về phía Bắc với cường độ tăng lên cấp siêu bão, cấp 16-17, giật trên cấp 17.
Đây là cơn bão cực mạnh, có diễn biến phức tạp và có khả năng ảnh hưởng trực tiếp đến hầu hết các tỉnh, thành phố trên cả nước. Mưa lớn do bão gây ra nguy cơ rất cao xảy ra lũ quét, sạt lở đất và ngập úng trên diện rộng, đặc biệt tại các khu vực địa hình dốc, đất yếu.
Trước tình hình trên, Bộ GD-ĐT yêu cầu các sở giáo dục và đào tạo theo dõi chặt chẽ diễn biến của mưa bão, giữ liên hệ thường xuyên với các cơ quan chức năng, lực lượng cứu hộ địa phương để kịp thời ứng phó trong trường hợp có sự cố xảy ra.
Các sở giáo dục và đào tạo cần lên các phương án bảo đảm an toàn cho học sinh, giáo viên và cán bộ quản lý; sẵn sàng phương án học trực tuyến, tạm hoãn lịch học trong những ngày mưa bão diễn biến phức tạp.
Bộ GD-ĐT đề nghị các sở GD-ĐT rà soát, kiểm tra, củng cố cơ sở vật chất trường học, đặc biệt là tại các điểm trường lẻ ở vùng sâu, vùng xa, nơi có nguy cơ sạt lở đất hoặc ngập úng cao. Các địa phương cần kịp thời có phương án di dời tài sản, máy móc, thiết bị, bàn ghế, hồ sơ đến nơi an toàn nhằm giảm thiểu tối đa hư hại, hỏng hóc, mất mát.
Bên cạnh đó, các địa phương cần sẵn sàng tiếp nhận nhân dân vào tránh trú mưa bão trong trường học khi bảo đảm an toàn; khẩn trương khắc phục các thiệt hại; dọn dẹp, vệ sinh trường/lớp học ngay sau mưa bão bảo đảm an toàn, sạch sẽ, phòng tránh dịch bệnh.
Các sở giáo dục và đào tạo liên tục cập nhật thông tin, tổng hợp thiệt hại, báo cáo UBND cấp tỉnh để khắc phục, đồng thời báo cáo Bộ Giáo dục và Đào tạo.
Theo Trung tâm Dự báo khí tượng thủy văn quốc gia lúc 10h sáng nay 22-9, tâm siêu bão Ragasa đang ở cách đảo Luzon (Philippines) khoảng 140km về phía đông bắc. Sức gió mạnh nhất vùng gần tâm bão mạnh cấp 17 (202-220km/h), giật trên cấp 17 (trên 220km/h).
Siêu bão Ragasa được Cơ quan Khí tượng Nhật Bản (JMA) phân loại là bão cực mạnh - cấp phân loại cao nhất đối với xoáy thuận nhiệt đới ở khu vực tây bắc Thái Bình Dương (với gió duy trì 10 phút) đạt 110 kts (tương đương 205km/h), mạnh hơn một chút so với Yagi năm 2024 (105 kts).
Dự báo tối nay (22-9) siêu bão Ragasa sẽ đi vào Biển Đông, trở thành cơn bão số 9 trong năm.
Nếu vẫn duy trì gió mạnh cấp 17 hoặc cấp 16-17 thì Ragasa sẽ vượt qua bão Yagi năm 2024 (mạnh nhất cấp 16) để trở thành cơn bão có cường độ mạnh nhất trong khoảng 30 năm qua trên Biển Đông.
Cơ quan khí tượng Việt Nam nhận định Ragasa sẽ nằm trong nhóm siêu bão mạnh nhất từng xuất hiện trên Biển Đông.
Đây cũng sẽ là cơn bão mạnh nhất trên Biển Đông trong năm 2025 tính đến thời điểm hiện tại.
